Εκατοντάδες πτήσεις και δρομολόγια τρένων που προγραμματιζόταν να γίνουν αύριο Παρασκευή στην Ιαπωνία ματαιώθηκαν, καθώς επίκειται η έλευση του τυφώνα Αμπίλ, που αναμένεται σε σημαντική εβδομάδα για τους Ιάπωνες, κατά την οποία γίνονται πολλά ταξίδια.
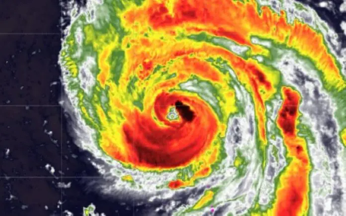
Ο Αμπίλ αναμένεται να περάσει από την περιοχή του Τόκιο, όπου ζουν σχεδόν 40 εκατομμύρια άνθρωποι, σήμερα το βράδυ και στη συνέχεια να κινηθεί προς τις ανατολικές ακτές του Ειρηνικού αύριο και το Σάββατο.
Η αεροπορική εταιρία ANA έχει ήδη ακυρώσει πάνω από 280 πτήσεις εσωτερικού που είχαν προγραμματιστεί για αύριο, επηρεάζοντας 60.400 επιβάτες, ενώ η ανταγωνίστριά της Japan Airlines ματαίωσε 191 πτήσεις εσωτερικού και 26 διεθνείς πτήσεις, επηρεάζοντας 38.600 πελάτες.
Typhoon #Ampil continues to intensify south of Tokyo, Japan, which it could scrape as a major Category 3-equivalent typhoon on Friday. The storm has been battling shear, but now Ampil is on its way to becoming a significant typhoon threat. pic.twitter.com/X3XUhQMEge
— Caleb’s Weather & News (@calebswxnews) August 15, 2024
Πολλά δρομολόγια στο δίκτυο τρένων υψηλών ταχύτητας αναμένεται επίσης να ματαιωθούν αύριο, συμπεριλαμβανομένων αυτών στο τμήμα μεταξύ Τόκιο και Ναγκόγια, στην κεντρική Ιαπωνία, που έχει μεγάλη κίνηση.
Ο τυφώνας Αμπίλ φθάνει ενώ η χώρα γιορτάζει την εβδομάδα διακοπών «ομπόν» κατά την οποία εκατομμύρια άνθρωποι επιστρέφουν στις ιδιαίτερες πατρίδες τους. Έρχεται επίσης μερικές ημέρες μετά την τροπική καταιγίδα Μαρία, που συνοδεύτηκε από βροχοπτώσεις ρεκόρ στη βόρεια Ιαπωνία.
«Καλούμε τον κόσμο να ενημερώνεται για τις ειδοποιήσεις εσπευσμένης απομάκρυνης και να λαμβάνει (…) μέτρα για την ασφάλειά του», δήλωσε σήμερα ο υπουργός Διαχείρισης Καταστροφών Γιοσιφούμι Ματσουμούρα σε τακτική ενημέρωση των δημοσιογράφων.
Η Ιαπωνία πλήττεται τακτικά από ισχυρούς τυφώνες που μπορούν να προκαλέσουν φονικές κατολισθήσεις.
Η Ιαπωνία άρει την προειδοποίηση για «μεγασεισμό» σήμερα
Οι αρχές της Ιαπωνίας προχώρησαν σε άρση του συναγερμού για «μεγασεισμό» που είχαν κηρύξει πριν από μια εβδομάδα, όπως ανακοίνωσε ο υπουργός που είναι υπεύθυνος για τη διαχείριση φυσικών καταστροφών.
«Καθώς δεν παρατηρήθηκε καμία ανωμαλία στη σεισμική δραστηριότητα ή παραμόρφωση στον φλοιό της γης, τερματίζεται η ειδική έκκληση για ιδιαίτερη επαγρύπνηση αλλά αυτό δεν σημαίνει ότι έχει εξαλειφθεί ο κίνδυνος (ενός μεγάλου σεισμού)», δήλωσε ο Γιοσιφούμι Ματσουμούρα στους δημοσιογράφους.
Ο συναγερμός αυτός είχε κηρυχθεί μετά τη σεισμική δόνηση 7,1 βαθμών ανοικτά του αρχιπελάγους την 8η Αυγούστου.

